Hack-a-Day is my self-imposed challenge to do one project a day, for all of November.
How do you render 3D graphics? Here's a picture of a cube:

But when you draw it on paper or a screen, it's flattened. All you see are these three faces.

In fact, if you turn off your brain, it's just three weird polygons. And we can figure out the corners of the polygon. For example, I figured out these with a ruler, measuring they they are on the paper in centimeters.

So to draw a cube, we just need to draw polygons. That's the essence of today's project.
Here's a minecraft world.

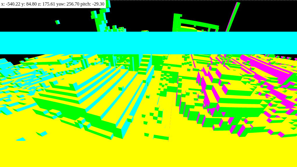
Here's the same thing in my voxel engine. If you squint, you might be able to recognize they're the same thing. Ignore the stripe at the top.

Here's a much simpler scene. If you click, you can explore it online

The source code is on github.
This hack wasn't perfect. There's some significant problems, and I worked on it 3 different days. Oh well, live and learn! I had fun.
Thanks to Claude for the code to extract minecraft data -- that was not the exciting part of this project.